Hagelgeweren
Jachthonden
Jachtkleding
Jachtlaarzen
Jachtmessen
Luchtbuksen
Messen
Munitie
Nachtkijkers
Richtkijkers
De smaak van de jacht
Verrekijkers
Wapenkluizen
Warmtebeeldkijkers
Wildrecepten
Jagen
Fotoquiz
Jachtuitrusting
Jachtfilms
Actueel
Flora en fauna
Links
Contact
NL
EN
Toggle navigation
Jagen
Jachtverhalen
De smaak van de jacht
Wildrecepten
Weidelijkheid
JachtArgumenten
Fotoquiz
Jachtuitrusting
Jachtkleding
Jachtoptiek
Jachtwapens
Importeurs
Jachtwinkels en wapenwinkels
Jachtmerken
Jachtfilms
Actueel
Artikelen
Columns & opinie
De jachtagenda
Jacht nieuws
Nederlandse jacht blogs
Belgische jacht blogs
Duitstalige jacht blogs
Engelstalige jacht blogs
Flora en fauna
Chimaera
Watervogels
Veerwild
Haarwild
Grofwild
Jachthondenrassen
Dierziekten
Flora
Links
Culinair
De elementen
Informatieve websites
Jacht communities
Startpagina's met jachtlinks
Jacht media
Jachtadvertenties
Jachthonden
Jachtorganisaties
Jachtreizen
Jachtuitrusting links
Link partners
natuur
Natuurfotografie en -kunst
Opleidingen en coaching
Plezierjacht
Schietbanen
Contact
Flora en fauna
Flora
Bosbouw
Loofhout
Populier
Chimaera
Watervogels
Veerwild
Haarwild
Grofwild
Jachthondenrassen
Dierziekten
Flora
Akkerbouw
Akkerbouwmatige Tuinbouw
Tuinbouwmatige tuinbouw
Fruitteelt
Bosbouw
Loofhout
Struikhout
Naaldhout
Populier
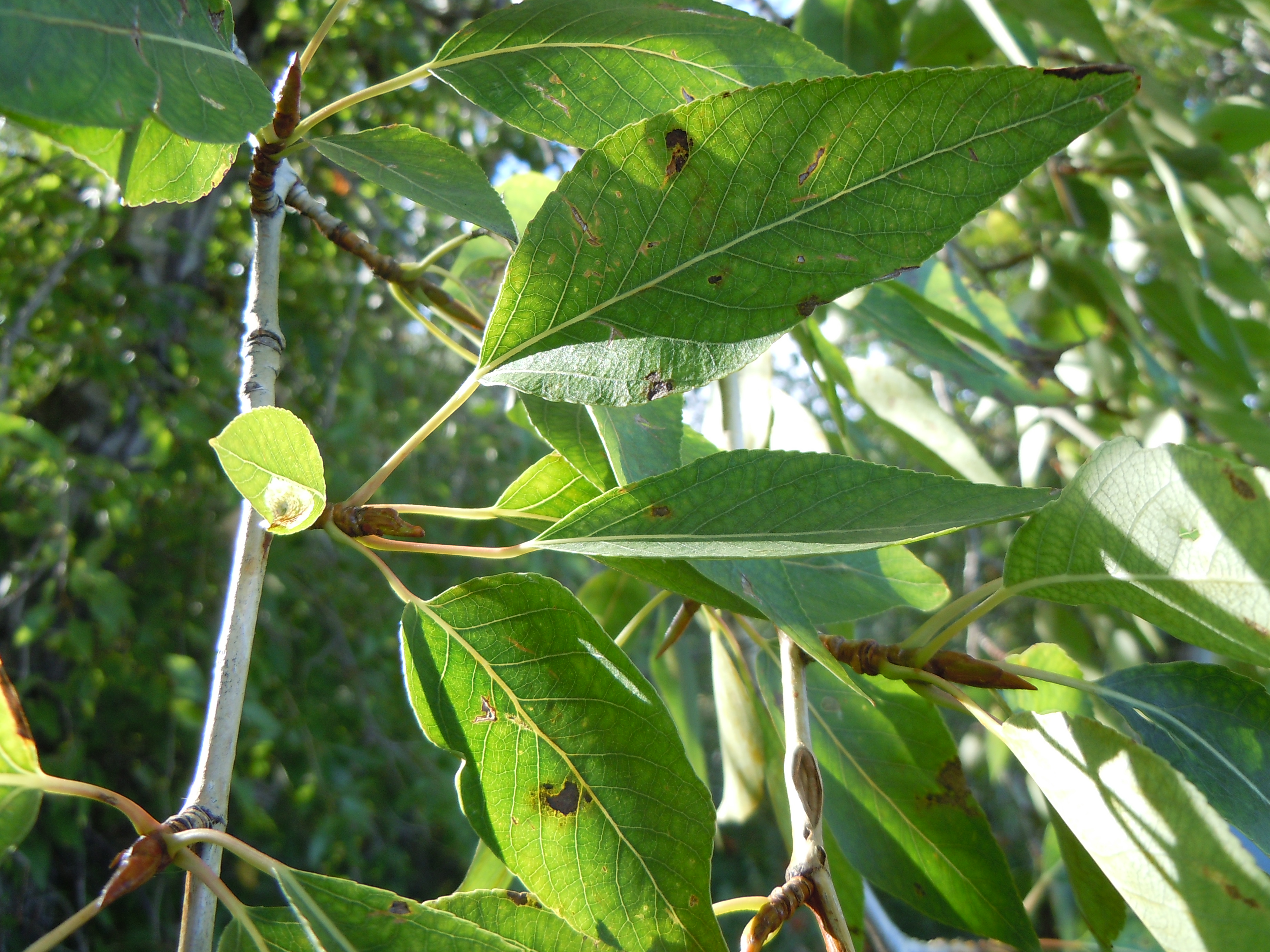
Bladeren hebben een aan de achterkant afgeplatte ruitvorm
De bladsteel is naar verhouding lang
De twijg is bruin en glad
De katjes zijn lang en hangend
Bloeit in maart en april
Wordt 6 tot soms 25 meter hoog
Populier foto's
Loofhout
Eiken
Beuk
Es
Populier
Wilg
Els
Berk
één moment...